Pronájem - skladovací prostor, 789 m²
Brněnská, Jihlava
115 222 Kč (za měsíc)Pronájem - skladovací prostor, 789 m²
Brněnská, Jihlava
115 222 Kč
(za měsíc)
Pronájem skladového prostoru 789 m2 Brněnská, Jihlava
Od června bude na východním okraji Jihlavy k pronájmu zajímavý objekt. Jedná se o halu, která víc jak 10 let slouží jako prodejní a skladovací zázemí velké renomované firmy s autodíly, což je z zřejmé z přiložených fotografií. Bylo by samozřejmě logické v podobném podnikání pokračovat, ale nic nebrání úplně jinému využití.
Jsou zde 3 kanceláře, kuchyňka a sociální zázemí (WC a sprcha). Dále je zde i vstupní prostor pro zákazníky. Půdorys této části haly je ve fotografiích.
Kanceláře jsou vytápěny plynovým kotlem, v hale jsou plynová teplovzdušná topidla.
Celková plocha je 789 m, využitelná výška u stěny jsou 4 m, uprostřed 6 m - viz obrázek řezu.
Kromě rampy jsou z boku i velká vrata pro skládání a nakládání větších objemů.
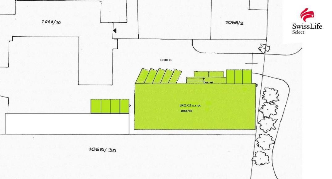
V této souvislosti je důležitá dopravní dostupnost a parkování. Oba tyto parametry naše hala svojí polohou bohatě splňuje. Na jedné z přiložených fotek je zeleně vyznačená plocha haly i parkovací plochy, které jsou předmětem pronájmu.
Pokud bude potřeba, lze halu upravit a přizpůsobit potřebám nového nájemníka.
Jsou zde 3 kanceláře, kuchyňka a sociální zázemí (WC a sprcha). Dále je zde i vstupní prostor pro zákazníky. Půdorys této části haly je ve fotografiích.
Kanceláře jsou vytápěny plynovým kotlem, v hale jsou plynová teplovzdušná topidla.
Celková plocha je 789 m, využitelná výška u stěny jsou 4 m, uprostřed 6 m - viz obrázek řezu.
Kromě rampy jsou z boku i velká vrata pro skládání a nakládání větších objemů.
V této souvislosti je důležitá dopravní dostupnost a parkování. Oba tyto parametry naše hala svojí polohou bohatě splňuje. Na jedné z přiložených fotek je zeleně vyznačená plocha haly i parkovací plochy, které jsou předmětem pronájmu.
Pokud bude potřeba, lze halu upravit a přizpůsobit potřebám nového nájemníka.
| Cena: | 115 222 Kč / (za měsíc) |
| Číslo zakázky: | REALITYMIX-25379 |
Podrobné informace
- Celková plocha: 789 m²
- Druh objektu: skeletová
- Stav objektu: velmi dobrý
- Druh prostor: Skladovací
- Doprava: vlak, dálnice, silnice, MHD, autobus
- Plyn: Plynovod
- Odpad: Kanalizace
Mapa
* Umístění na mapě je na základě GPS informací dodaných realitní kanceláří.
* Pozice na mapě je pouze orientační.