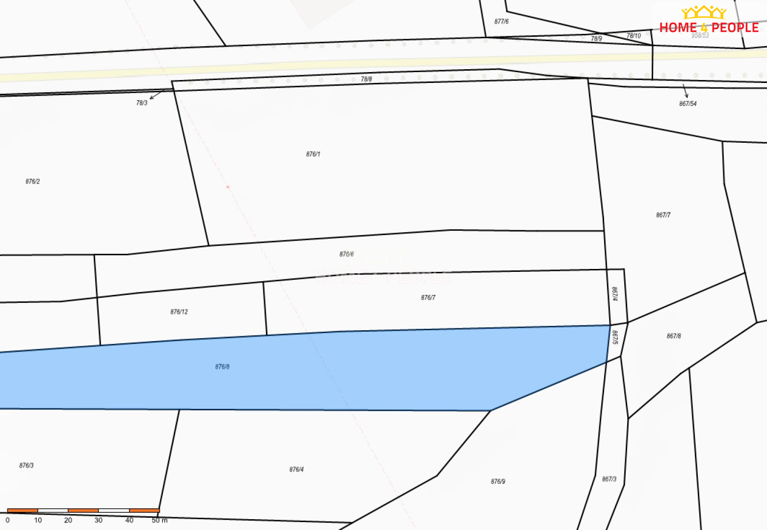
Prodej - pozemek pro komerční výstavbu, 9 478 m²
Pražská, Hořovice, Beroun
40 000 000 KčProdej - pozemek pro komerční výstavbu, 9 478 m²
Pražská, Hořovice, Beroun
Pozemky u Kauflandu v Hořovicích
Dle územního plánu jsou pozemky určeny k zastavění a představují zajímavou investiční příležitost s potenciálem dalšího komerčního rozvoje. Bezprostřední sousedství nově vybudovaného Kauflandu potvrzuje rostoucí význam celé lokality a vytváří předpoklad pro budoucí rozšíření obchodních, službových či jiných podnikatelských aktivit.
Významným benefitem je rovněž blízkost technické infrastruktury, včetně vedení vysokého napětí, které může být výhodou z pohledu budoucího napojení a rozvoje komerčních projektů.
Lokalita nabízí výbornou dopravní dostupnost, viditelnou rozvojovou dynamiku a zajímavý potenciál budoucího zhodnocení.
Hlavní výhody:
- parcely č. 876/8 a 876/9
- lokalita Hořovice / Velká Víska
- dle územního plánu určeno k zastavění
- v sousedství nově vybudovaný Kaufland
- zajímavá investiční příležitost
- dobrá dostupnost a rozvojový potenciál území
Více informací, přesná výměra a podmínky prodeje na vyžádání. Ev. číslo: 32145.
| Cena: | 40 000 000 Kč |
| Poznámka: | včetně provize a právního servisu. |
| Plocha: | 9478 m² |
| Číslo zakázky: | REALITYMIX-32145 |
Podrobné informace
- Celková plocha: 9478 m²
- Druh pozemku: pro komerční výstavbu
Právní rádce
-
Detail
V tomto článku shrneme nejdůležitější věci, které byste si měli promyslet, pokud se chystáte prodat svou nemovitost a chcete, abyste s kupujícím nemusel následně řešit vzniklé problémy.
Jako prodávající nesete rizika spojená nejen se samotným obchodem, ale i se stavem nemovitosti v době prodeje a pro minimalizaci rizik, je dobré se zamyslet nad uvedenými oblastmi.
-
Detail
Realitní makléř má své nezastupitelné místo v realitním obchodu. Realitním makléřem nemyslím nevzdělané jelito, které absolvovalo dvoudenní školení a ví, jak se nahraje inzerát na inzertní portál.
Realitním makléřem, který se Vám skutečně vyplatí, je zkušený profesionál, který je schopen Vám dobře poradit jak prodat za co nejvíc a s nejmenším rizikem a hlavně je Vás schopen obratně provést celým realitním obchodem.
Podobné nemovitosti
Prodej - pozemek pro komerční výstavbu, 9 891 m²
Na Lhotkách, Bavoryně, Beroun
Cena na vyžádání
Prodej - pozemek, zemědělská půda, 2 165 m²
Beroun
3 109 000 Kč
Prodej - pozemek pro bydlení, 1 936 m²
Trubín, Beroun
8 900 000 Kč
Prodej - pozemek pro bydlení, 15 999 m²
Beroun-Závodí, Beroun
Cena na vyžádání