Prodej - pozemek pro bydlení, 1 045 m²
Křičeň, Pardubice
3 990 000 KčProdej - pozemek pro bydlení, 1 045 m²
Křičeň, Pardubice
Prodej pozemku pro bydlení – Křičeň
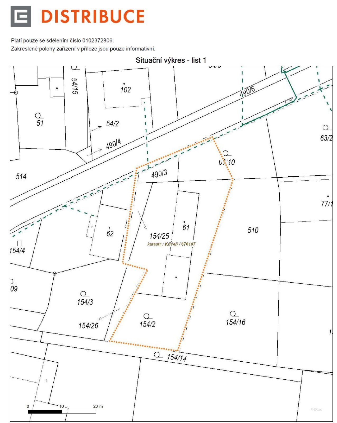
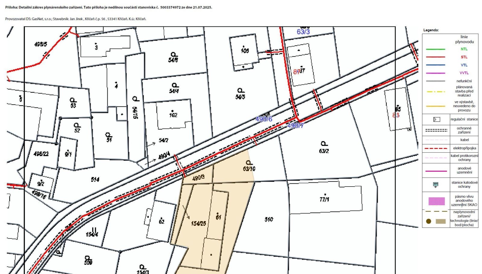
Přípojky (viz situační výkresy):
Na pozemek je vyvedena obecní kanalizace, dále se zde nachází studna.
Elektřina, plyn a CETIN vede při bližší straně silnice.
Obecní vodovod je na protější straně silnice.
Výhodou nemovitosti je dobrá dopravní dostupnost – 100 m od zastávky autobusu, cca 5 km na dálnici D11. Pro relaxaci lze využít blízkou cyklotrasu a blízké lesy, případně dětské hřiště. V obci najdete obchod. Ostatní zázemí naleznete v prostředí města Lázně Bohdaneč – školy, školky, lékárny, pošta, lázeňský bazén, MHD do Pardubic a další služby.
Poznámka: V současnosti probíhá úprava rozměrů pozemku geometrickým plánem pro narovnání hranic tak, aby odpovídaly stávajícímu oplocení. Uvedené rozměry v inzerci již odpovídají novému geometrickému plánu. Kupní cena bude ponížena o náklad spojený s demolicí stavby.
Cena je k jednání.
| Cena: | 3 990 000 Kč |
| Poznámka: | cena k jednání |
| Plocha: | 1045 m² |
| Číslo zakázky: | REALITYMIX-227 |
Podrobné informace
- Celková plocha: 1045 m²
- Druh pozemku: pro bydlení
- Umístění objektu: klidná část obce
Právní rádce
-
Detail
V tomto článku shrneme nejdůležitější věci, které byste si měli promyslet, pokud se chystáte prodat svou nemovitost a chcete, abyste s kupujícím nemusel následně řešit vzniklé problémy.
Jako prodávající nesete rizika spojená nejen se samotným obchodem, ale i se stavem nemovitosti v době prodeje a pro minimalizaci rizik, je dobré se zamyslet nad uvedenými oblastmi.
-
Detail
Realitní makléř má své nezastupitelné místo v realitním obchodu. Realitním makléřem nemyslím nevzdělané jelito, které absolvovalo dvoudenní školení a ví, jak se nahraje inzerát na inzertní portál.
Realitním makléřem, který se Vám skutečně vyplatí, je zkušený profesionál, který je schopen Vám dobře poradit jak prodat za co nejvíc a s nejmenším rizikem a hlavně je Vás schopen obratně provést celým realitním obchodem.
Mapa
Podobné nemovitosti
Prodej - pozemek pro bydlení, 1 300 m²
Bílé Vchynice, Pardubice
2 800 000 Kč
Prodej - pozemek pro bydlení, 4 042 m²
Lepějovická, Pardubice
4 250 000 Kč
Prodej - pozemek pro bydlení, 2 142 m²
Zdechovice, Pardubice
2 999 000 Kč
Prodej - pozemek pro bydlení, 2 072 m²
Jaroslav, okr.Pardubice
3 800 000 Kč