Prodej - pozemek pro bydlení, 1 941 m²
Svitavy
3 784 950 KčProdej - pozemek pro bydlení, 1 941 m²
Svitavy
Prodej - Stavební parcela 1 941m2 - Květná
Pozemek je určen k výstavbě rodinného domu, a nachází se v nově se rozvíjející oblasti plné novostaveb, kde panuje klidná atmosféra a dostatek soukromí. Díky své poloze je ideální pro ty, kteří chtějí žít v přírodě, ale zároveň mít město na dosah.
Dle územního plánu se na pozemku dá postavit jednopodlažní dům + podkorví.
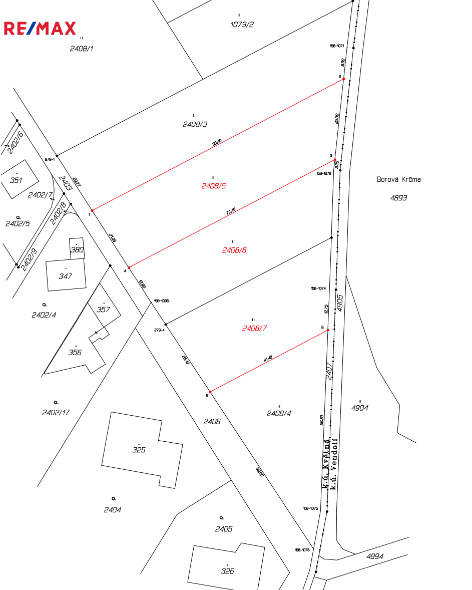
Voda bude na pozemek zavedena majiteli. Bude prodloužen vodovodní řád na pozemek včetně přípojky.
Aktuálně je přístupová cesta v osobním vlastnictví, přičemž její převod do vlastnictví města Květná je plánován na listopad 2025. Část cesty je již vykoupena.
Na pozemku se nachází náletové dřeviny, které lze (až na několik větších stromů) odstranit bez povolení. Vodovodní řád je možné prodloužit z protější strany silnice. Elektřinu v lokalitě zajištujě ČEZ a je předjednáno zasíťování pozemků, stačí jen vyrozumět, v jaké části pozemku bude stát Váš nový domov. kanalizace je v plánu během 2–3 let.
Pozemek sousedí přímo s lesem, což zajišťuje nádherný výhled do zeleně a okamžitý přístup do přírody. Vedle se rozprostírá pole, ideální na procházky nebo venčení psů.
Díky skvělé dopravní dostupnosti jste autem za 6 minut ve Svitavách a stejně tak v Poličce. Místo tak nabízí ideální kombinaci klidu venkova a pohodlného dosahu městské infrastruktury. V současné době probíhá stavba D35, která po vybudování velmi urychlí dopravní dostupnost.
Pokud hledáte pozemek pro výstavbu vysněného domu, který vám poskytne soukromí, klid a zároveň dobré spojení do města, tato nabídka je přesně pro vás.
Pokud vás nabídka zaujala, neváhejte se ozvat. Rádi vám poskytneme více informací a domluvíme osobní prohlídku.
| Cena: | 3 784 950 Kč |
| Plocha: | 1941 m² |
| Číslo zakázky: | REALITYMIX-425859 |
Podrobné informace
- Celková plocha: 1941 m²
- Druh pozemku: pro bydlení
- Doprava: silnice, autobus
- Energetický ukazatel podle vyhlášky: č. 264/2020 Sb.
Právní rádce
-
Detail
V tomto článku shrneme nejdůležitější věci, které byste si měli promyslet, pokud se chystáte prodat svou nemovitost a chcete, abyste s kupujícím nemusel následně řešit vzniklé problémy.
Jako prodávající nesete rizika spojená nejen se samotným obchodem, ale i se stavem nemovitosti v době prodeje a pro minimalizaci rizik, je dobré se zamyslet nad uvedenými oblastmi.
-
Detail
Realitní makléř má své nezastupitelné místo v realitním obchodu. Realitním makléřem nemyslím nevzdělané jelito, které absolvovalo dvoudenní školení a ví, jak se nahraje inzerát na inzertní portál.
Realitním makléřem, který se Vám skutečně vyplatí, je zkušený profesionál, který je schopen Vám dobře poradit jak prodat za co nejvíc a s nejmenším rizikem a hlavně je Vás schopen obratně provést celým realitním obchodem.