Hospodářské noviny
Hledat Přihlásit seMůj účet Předplatné
Přihlásit seMůj účet Předplatné
  • Home
  • Byznys
  • Zprávy
  • Názory
  • Tech
  • Reality
  • Investice
  • Podcasty
  • Hry
  • PročNe
  • Archiv
  • Další
  • Jak nastartovat sever
  • Speciály HN
  • Víkend
  • Magazín Stavba
  • Knihy HN
  • Eventy
  • Green Deal
  • Inovátoři roku
  • Top ženy
  • Nej banka / Nej pojišťovna
  • Předplatné
  • Redakce
  • Inzerce
  • Kontakty
  • Newslettery
  • Ekonom
  • Logistika
  • Právní rádce
  • Hry
  • Economia
  • BeNative
  • Nastavení účtu
  • Moje předplatné
  • Odhlásit se

Reality

  • Reality
  • Vyhledávání nemovitostí
  • Top realitní fondy
  • Magazín Stavba
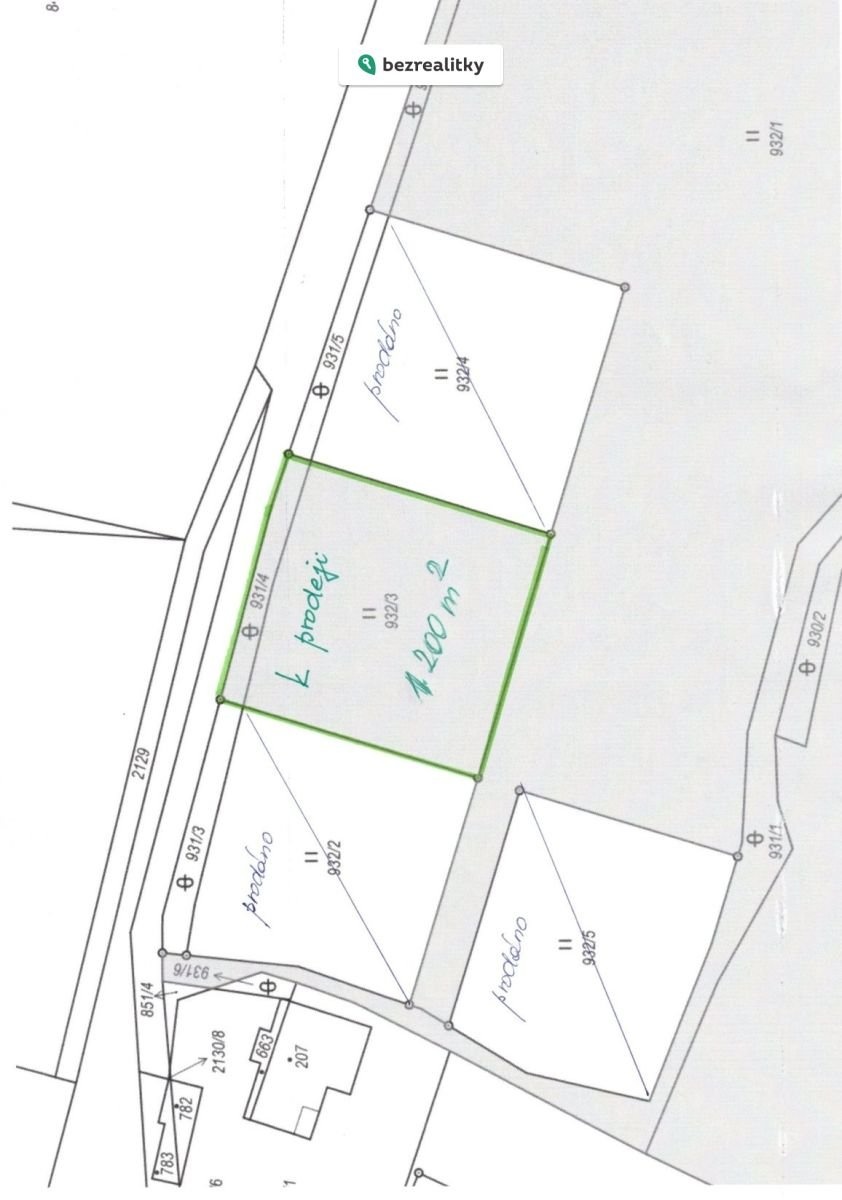
Prodej - pozemek pro bydlení, 1 200 m²

Prodej - pozemek pro bydlení, 1 200 m²

Lipnice nad Sázavou, Havlíčkův Brod

2 760 000 Kč
  • RealityMIX
  • Pozemky
  • Prodej
  • Vysočina
  • Havlíčkův Brod
0 z 5 (0 hodnocení)

Prodej - pozemek pro bydlení, 1 200 m²

Lipnice nad Sázavou, Havlíčkův Brod

2 760 000 Kč
Chcete ušetřit za energie?
Spočítejte si dotaci.
Výpis
Předchozí inzerát Další inzerát
1773338067-olpverivxu-pohled-k-z-c3-a1padu
1773338075-nxbhurmdof-pohled-k-v-c3-bdchodu
1773338501-selbtwvwqk-stavebn-c3-ad-pozemek-1-200-m2

Prodej pozemku 1.200 m²

Nabízím k prodeji stavební pozemek o rozloze 1200 m² pro výstavbu rodinného domu.
Pozemek je na okraji Lipnice nad Sázavou s výhledem na hrad, situovaný na jižní stranu.
Na okraj pozemku bude letos přivedeny přípojky na elektřinu a vodu. Kanalizace je v plánu města. Tato nemovitost je určena výhradně přímým zájemcům o koupi. Na inzerát můžete také reagovat přímo na webu Bezrealitky.
Cena: 2 760 000 Kč  
Plocha: 1200 m²
Číslo zakázky: REALITYMIX-1000560

Podrobné informace

  • Celková plocha: 1200 m²
  • Druh pozemku: pro bydlení

Sdílej na:

Facebook     Twitter

Tisk nabídky (pdf)

  • (A4)
  • (A4)
  • (A4)
  • (A4)
  • (A5)

Poslat odkaz:

Právní rádce

Právní rádce
  • V tomto článku shrneme nejdůležitější věci, které byste si měli promyslet, pokud se chystáte prodat svou nemovitost a chcete, abyste s kupujícím nemusel následně řešit vzniklé problémy.

    Jako prodávající nesete rizika spojená nejen se samotným obchodem, ale i se stavem nemovitosti v době prodeje a pro minimalizaci rizik, je dobré se zamyslet nad uvedenými oblastmi.

    Detail
  • Realitní makléř má své nezastupitelné místo v realitním obchodu. Realitním makléřem nemyslím nevzdělané jelito, které absolvovalo dvoudenní školení a ví, jak se nahraje inzerát na inzertní portál.

    Realitním makléřem, který se Vám skutečně vyplatí, je zkušený profesionál, který je schopen Vám dobře poradit jak prodat za co nejvíc a s nejmenším rizikem a hlavně je Vás schopen obratně provést celým realitním obchodem.

    Detail
  • Detail
Chci vědět víc
Právní rádce

Mapa

* Umístění na mapě je na základě GPS informací dodaných realitní kanceláří.
* Pozice na mapě je pouze orientační.

Souhlas se zpracováním osobních údajů

Uživatel serveru Reality.hn.cz (dále jen „Server“) dostupného na internetové adrese (URL) https://realitymix.hn.cz, který provozuje společnost DALTEN media s.r.o., se sídlem Na Harfě 916/9a, Praha 9, 190 00, IČO: 271 35 306 (dále jen „Správce“) jako provozovateli tohoto Serveru uděluje svůj výslovný souhlas v souladu s ustanovením § 5 zákona č. 101/2000 Sb. O ochraně osobních údajů a o změně některých zákonů, v platném znění (dále jen „zákon o ochraně osobních údajů“), se zpracováním uživatelem poskytnutých osobních údajů a dalších dat.

Uživatel poskytuje Správci osobní údaje v rozsahu: jméno, příjmení, e-mailová adresa, telefonický kontakt a další data, a to z důvodu projeveného zájmu o nemovitost, kde prostřednictvím služby Serveru Správce osloví Uživatel inzerenta uvedeného v detailu nemovitosti - Bezrealitky s.r.o. (IČ 08063168) se zájmem o jeho služby.

Uživatel tyto osobní údaje poskytuje dobrovolně a bere na vědomí, že součástí služeb Správce, které Správce Uživateli poskytuje, je vyhledání všech Uživateli vyhovujících (dle parametrů - cena, typ nemovitosti, lokalita atd.) nemovitostí. Správce za tímto účelem provozuje aplikace Hlídací pes a newsletter. Tyto služby je možné z každého zaslaného emailu odhlásit. Souhlas se zpracováním osobních údajů Uživatel poskytuje Správci na dobu neurčitou s tím, že svůj udělený souhlas může Uživatel kdykoliv na drese správce info@realitymix.cz odvolat. Správce garantuje Uživateli i další práva uvedené v ustanovení §11 a §21 zákoba č. 101/200 Sb. Ve znění pozdějších předpisů. Více informací o zpracování údajů získáte zde (realitymix.cz/zasady-ochrany-osobnich-udaju)

Podobné nemovitosti

Prodej - pozemek pro bydlení, 1 997 m² obrázek

Prodej - pozemek pro bydlení, 1 997 m²

Hamry, Havlíčkův Brod

1 997 000 Kč
Prodej - pozemek pro bydlení, 1 342 m² obrázek

Prodej - pozemek pro bydlení, 1 342 m²

Maleč, Havlíčkův Brod

2 090 000 Kč
Prodej - pozemek pro komerční výstavbu, 2 548 m² obrázek

Prodej - pozemek pro komerční výstavbu, 2 548 m²

Ostružno, Havlíčkův Brod

2 490 000 Kč
Prodej - pozemek pro komerční výstavbu, 953 m² obrázek

Prodej - pozemek pro komerční výstavbu, 953 m²

Havlíčkův Brod

619 000 Kč

Napsat zprávu prodejci

Prodej - pozemek pro bydlení, 1 200 m²

Prodej - pozemek pro bydlení, 1 200 m²

Lipnice nad Sázavou, Havlíčkův Brod

2 760 000 Kč

Hospodářské noviny

© 1996-2026 Economia, a.s.

Hospodářské noviny (print)   ISSN 0862-9587
Hospodářské noviny (online) ISSN 2787-950X

Certifikováno
jti
Sledujte nás
Stáhněte si aplikaci HN
  • Kontakty
  • Tiráž redakce HN
  • Economia
  • Kariéra v HN
  • Ceník inzerce
  • Ochrana osobních údajů
  • Prohlášení o cookies
  • Nastavení soukromí
  • Všeobecné smluvní podmínky
  • Koupit / darovat předplatné
  • Eventy
  • Newslettery
  • RSS kanály
Autorská práva vykonává vydavatel. Bez písemného svolení vydavatele je zakázáno jakékoli užití částí nebo celku díla, zejména rozmnožování a šíření jakýmkoli způsobem, mechanickým nebo elektronickým, v českém nebo jiném jazyce. Bez souhlasu vydavatele je zakázáno též rozmnožování obsahu pro účely automatizované analýzy textů nebo dat podle ustanovení § 39c autorského zákona.